通知公告

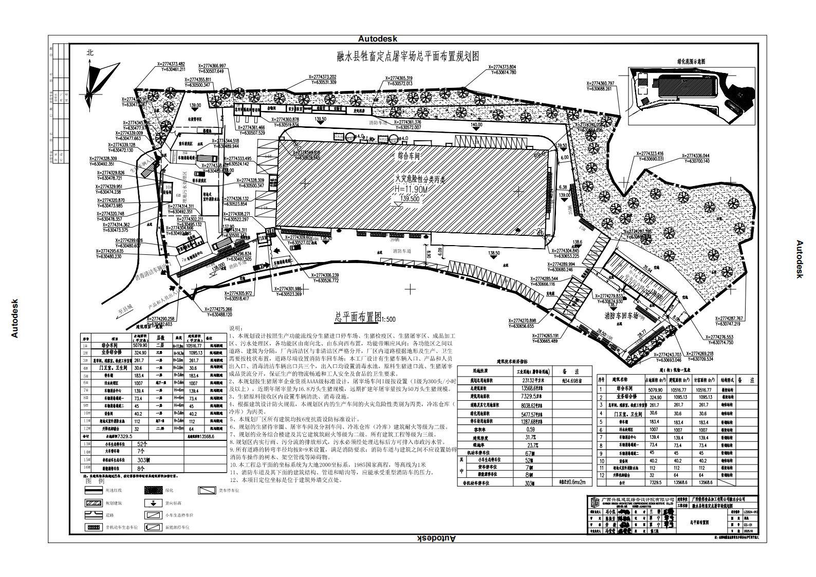
“融水县牲畜定点屠宰场项目” 规划总平(cr2025-23zp)批后公布

来源:融水县自然资源和规划局

发布日期: 2025-11-27 11:54    |  作者: 融水县自然资源和规划局

“融水县牲畜定点屠宰场项目”

规划总平(cr2025-23zp)批后公布

“融水县牲畜定点屠宰场项目”规划总平已于 2025年11月27日经我局批准。



融水苗族自治县人民政府主办 地址:融水镇拱城街17号
联系方式:rswg@163.com
网站标识码:4502250002