通知公告

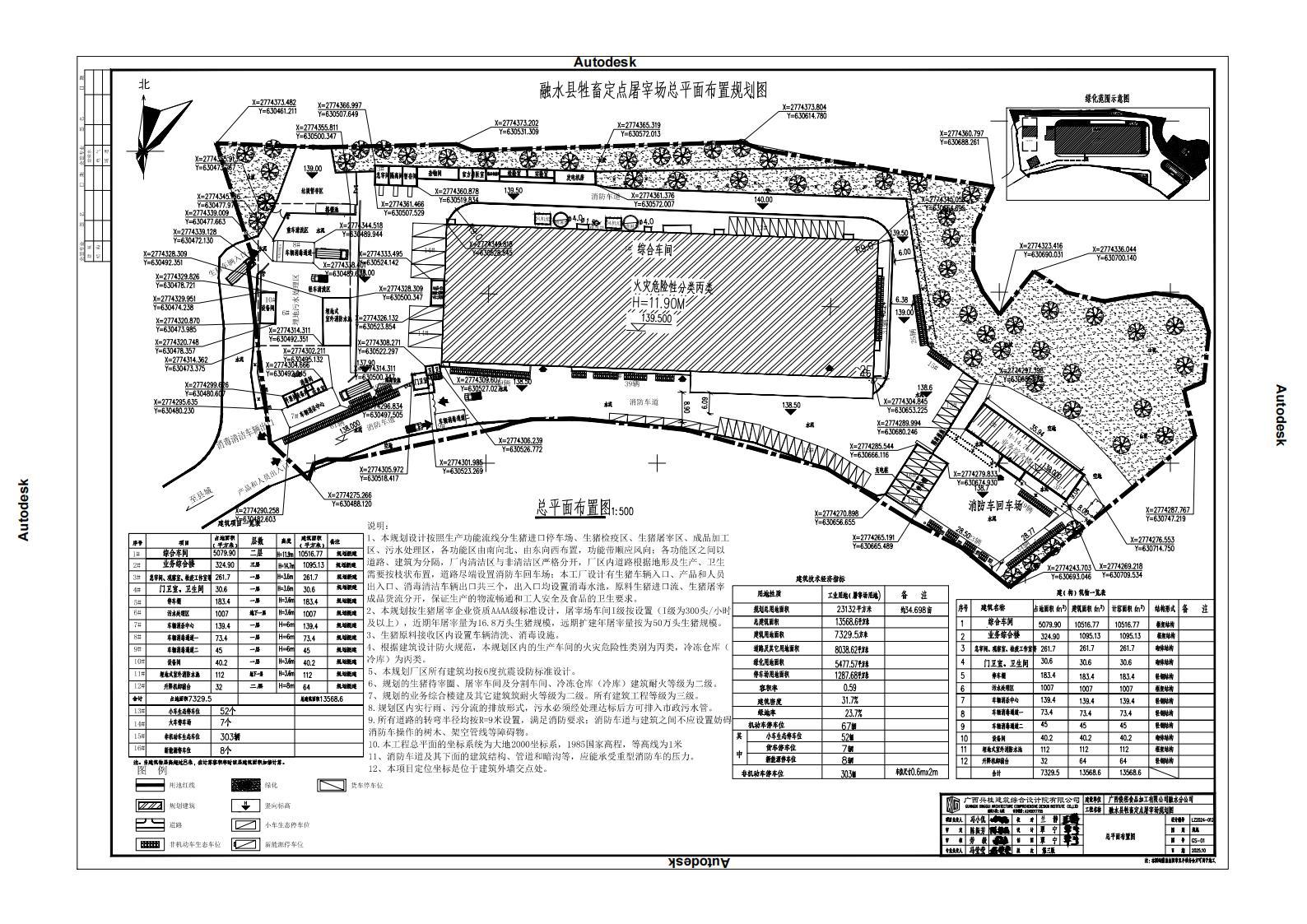
“融水县牲畜定点屠宰场项目”批前公示

来源:融水县自然资源和规划局

发布日期: 2025-11-20 11:50    |  作者: 融水县自然资源和规划局

“融水县牲畜定点屠宰场项目”批前公示

现对“融水县牲畜定点屠宰场项目”方案进行批前公示,公示期从2025年11月20日至2025年11月26日。相关利害关系人对上述方案的意见,可以书面阐明观点理由的形式提出。有关书面意见请于2025年11月26日前送至融水县自然资源和规划局国土空间规划股,联系电话:5129737。



融水苗族自治县人民政府主办 地址:融水镇拱城街17号
联系方式:rswg@163.com
网站标识码:4502250002